-

現地土地
-

現地土地
-

前面道路
-

地図
-

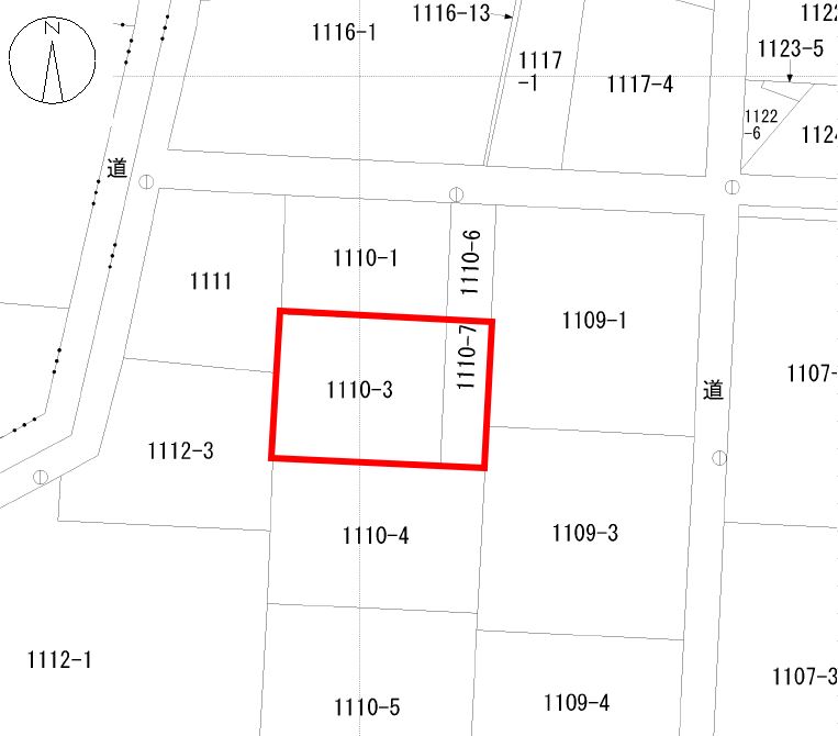
区画図
2025.10.15

現地土地

現地土地

前面道路

地図

区画図





価格 280万円
☆おすすめポイント☆
◇国道8号線近く
◇陽当たり良好
【教育施設】
◎白根小学校 約1,050m(徒歩約13分)
◎白根第一中学校 約690m(徒歩約9分)
【周辺環境】
◎しろねカイトタウンまで約400m(徒歩約5分)
◎イオン白根店まで約920m(徒歩約12分)
◎ファミリーマート白根文京町店まで約390m(徒歩約5分)
※インフラ引込なし(水道・ガス管引込工事費用がかかります)
※前面道路は建築基準第42条の道路に該当せず、同法第43条但し書き許可申請が必要

担当:石田 玲子