-

西側道路から現地
-

幅員7.25m 広い道路です
-

東側道路から現地
-

道路幅員5.2mと十分
-

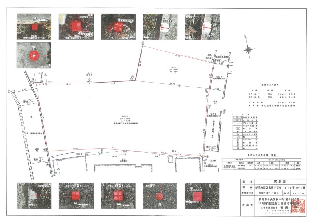
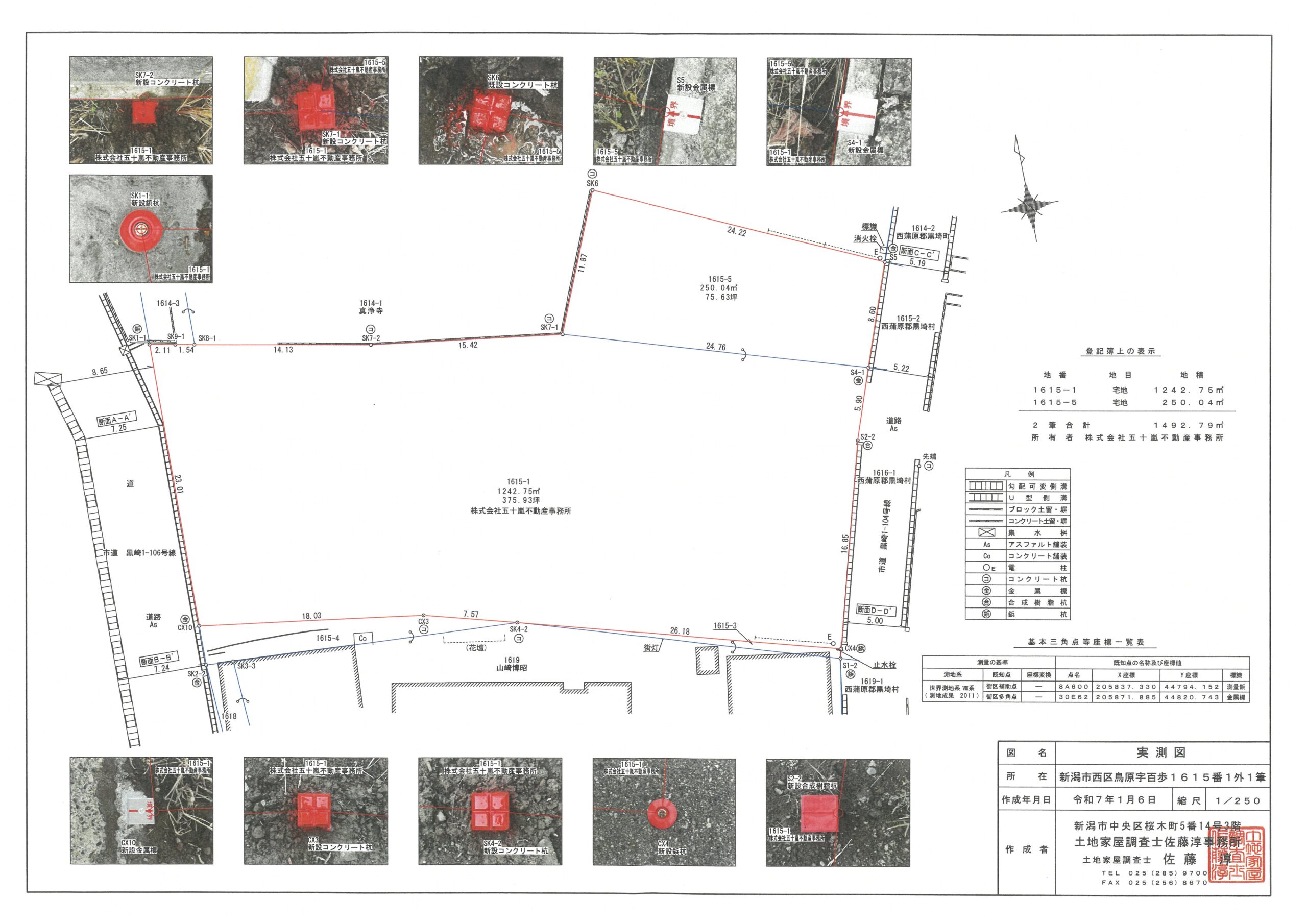
実測図面 ご請求いただければご提供致します
-

道路台帳平面図切り抜き
-

隣地立会いの上測量済み
-

隣地立会いの上測量済み
-

隣地立会いの上測量済み
2025.11.21

西側道路から現地

幅員7.25m 広い道路です

東側道路から現地

道路幅員5.2mと十分

実測図面 ご請求いただければご提供致します

道路台帳平面図切り抜き

隣地立会いの上測量済み

隣地立会いの上測量済み

隣地立会いの上測量済み









価格 5,418万円
「特徴」
・451坪と大きな土地です
・現況更地/即お引渡し可能
・現況渡し/条件なし
・分割相談可能です
・住宅用地としても事業用地としてもご検討下さい!
*お気軽にお問い合わせ下さい

担当:平原 大